After five exciting years, and in collaboration with Spania1 AS, the market leader in Norway, we have changed our name to better reflect our international focus and strengthened position in the resale property market.
You will still work with the same experienced team from our office in La Zenia, and we always welcome our former clients!
Go to the websiteThis text could be translated with Google Translate and can therefor contain errors.
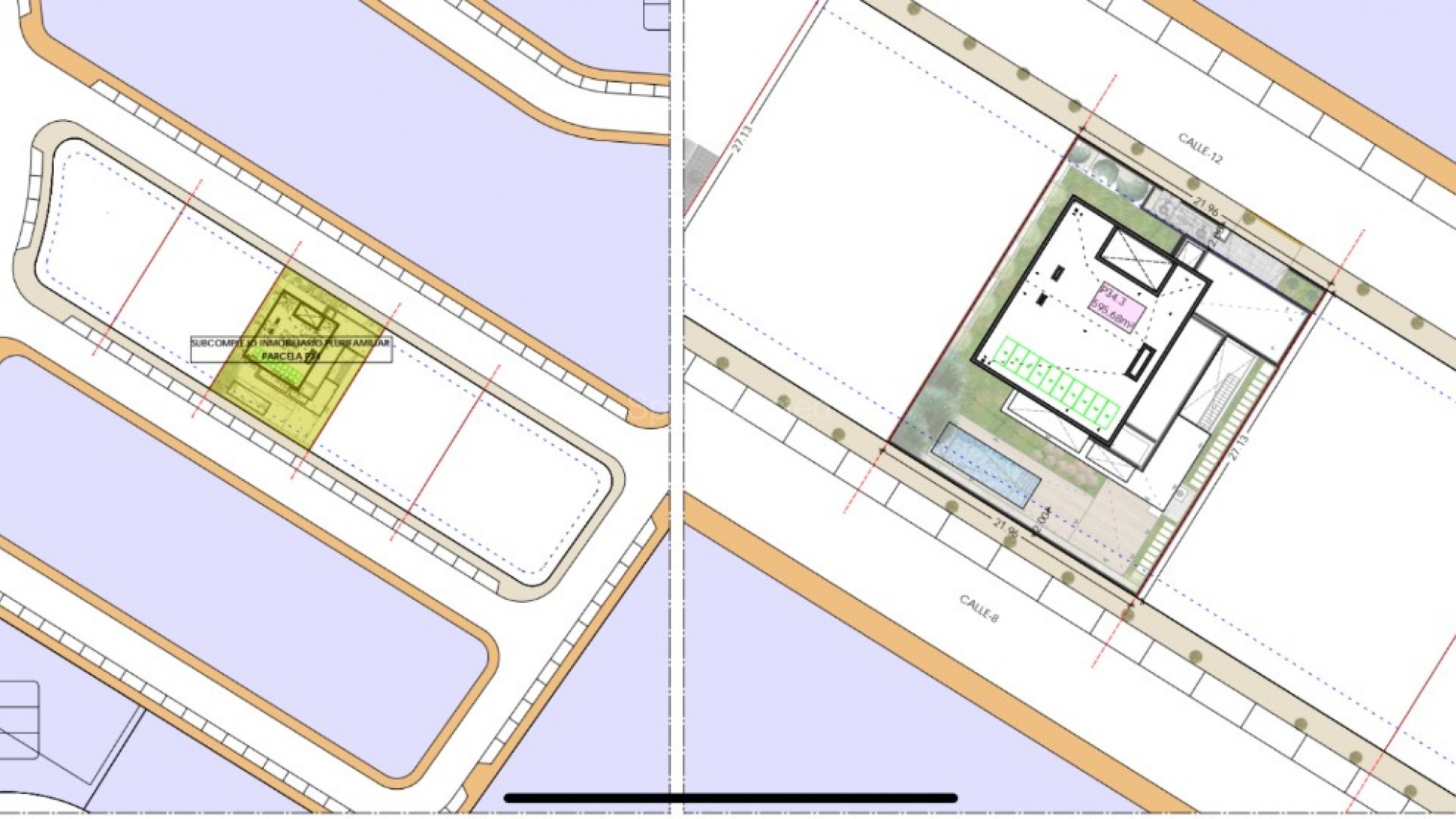
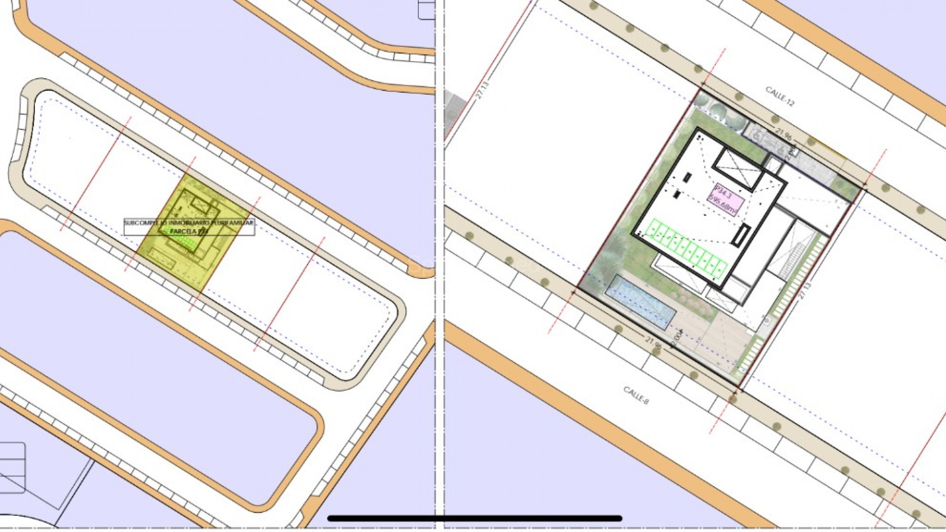
Plot for sale in Los Alcazares.We offer for sale a plot of land in one of the best luxury gated urbanization close to Santa Rosalia.The plot can be purchased both separately and with a finished project of a 500 m2 villa in the HIGH-TECK style, taking into account the smallest details that are so necessary for a comfortable life, and using the highest quality materials.The developer is ready to make your dream of owning a luxury home in an elite area come true.In a few minutes you will find the unique sandy beaches of the Mar Menor which is a natural saltwater lagoon separated from the Mediterranean Sea. Here even in winter the temperature rarely drops below 18 degrees.Here you will find a wonderful climate and well-developed infrastructure - restaurants, supermarkets, banks, schools, golf courses and much more.
This info given here is subject to errors and do not form part of any contract. The offer can be changed or withdrawn without notice. Prices do not include purchase costs.